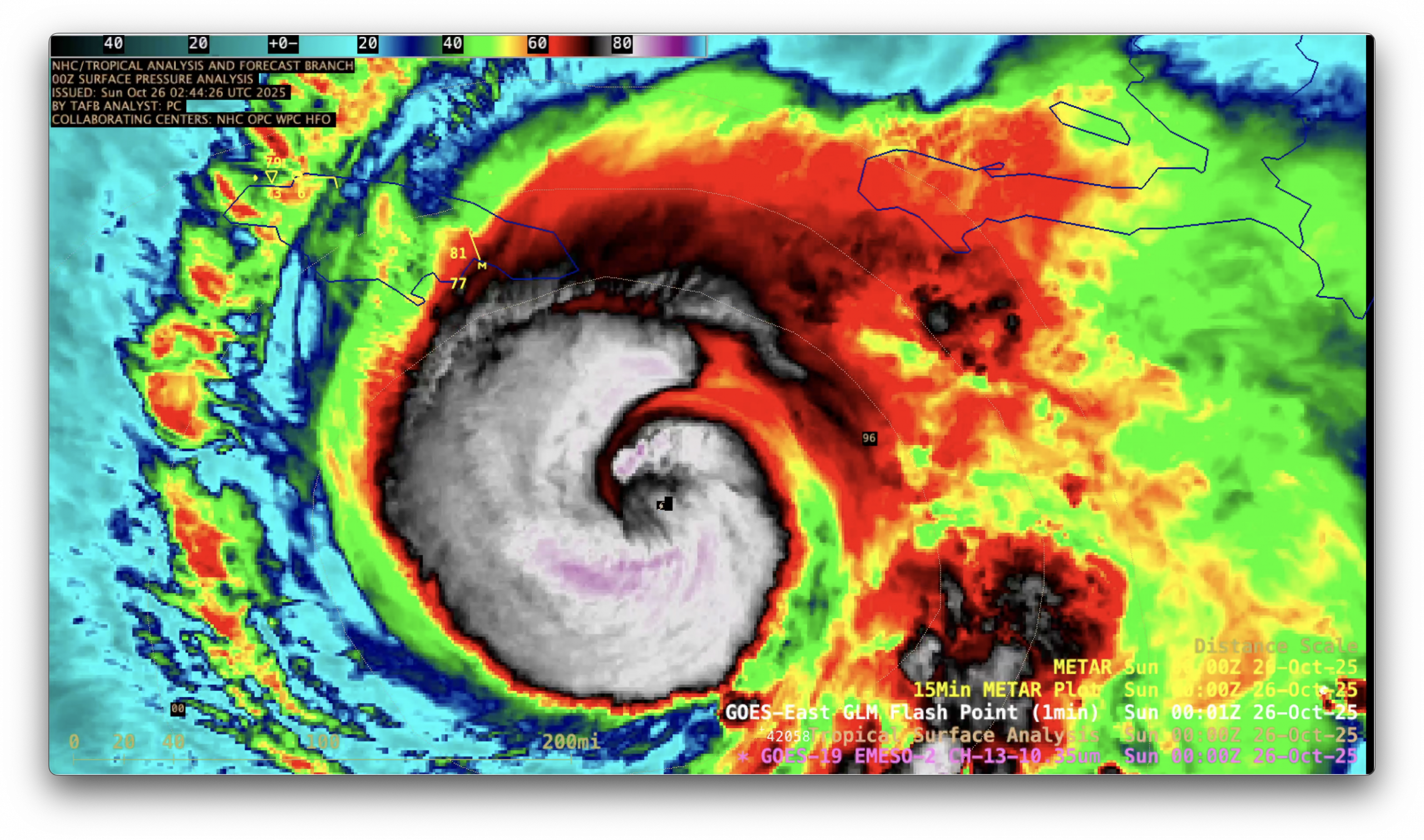
Melissa becomes a Hurricane southeast of Jamaica, then rapidly intensifies to a Category 5 storm
1-minute Mesoscale Domain Sector GOES-19 (GOES-East) Infrared images (above) showed Tropical Storm Melissa in the Caribbean Sea as it began to rapidly intensify during the afternoon and evening hours on 25 October 2025 — reaching Category 1 intensity at 1800 UTC on 25 October and Category 3 intensity at 0300 UTC... Read More